Helmikkäpolku 1, Himos, Jämsä
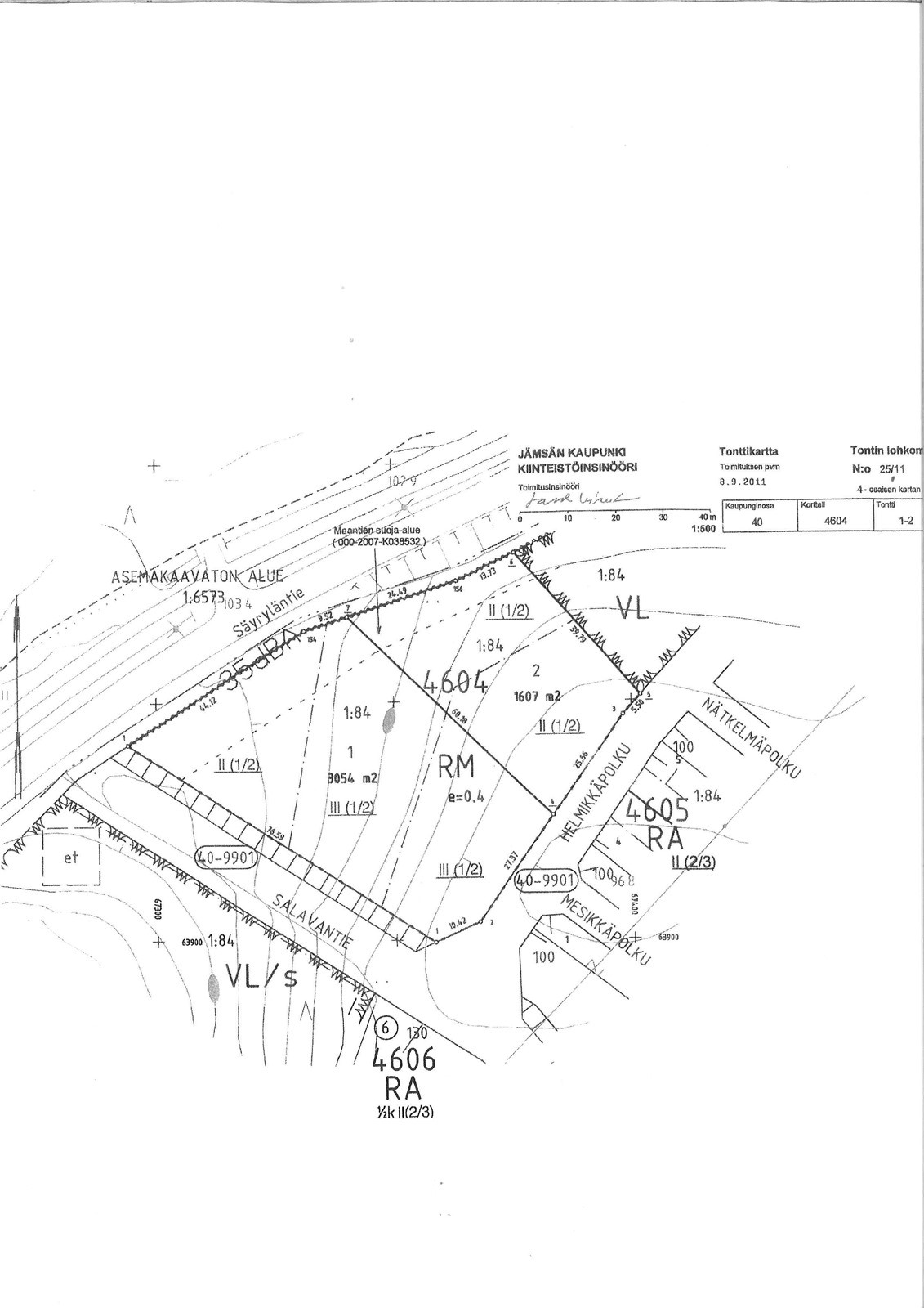
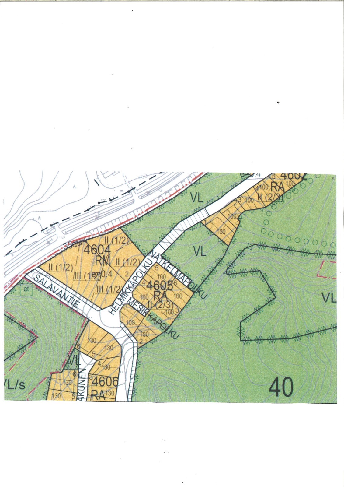
Mitä parhain paikka Himoksen ytimessä ja kaikki aktiviteetit lähellä, kuten Areena, Center, rinteet sekä Golfkenttä. Kaava mahdollistaa kerros- rivi ja muiden kytkettyjen loma-asuntojen rakentamisen. Rakennusoikeutta n. 1221 m2
Ota yhteyttä välittäjään
Lähettämällä viestin hyväksyt palvelun ehdot.
Kohteen tiedot
Rakennuksen tiedot
- Rakennusmateriaali
- Muu
- Lämmitysjärjestelmä
- Muu
Tontti ja kaavoitus
- Tontin pinta-ala
- 3 054 m2
- Omistus
- Oma
- Maasto
- Tasamaatontti
- Tie perille
- Ei
- Kaavoitus
- Asemakaava, yleiskaava. Jämsän kaupunki RM Matkailua palvelevien rakennusten korttelialue. Alueella sallitaan kerros-, rivi ja muiden kytkettyjen loma-asuntojen rakentaminen Jämsän kaupunki
Vesi ja viemäröinti
- Vesijohto
- Ei
- Lisätietoa käyttövedestä
- Vesi- ja viemäriliittymähinnat: www.jamsa.fi/asuminen/vesihuolto-himos-infra-oy
- Viemäri
- Ei
- Lisätietoa viemäristä
- Vesi- ja viemäriliittymähinnat: www.jamsa.fi/asuminen/vesihuolto-himos-infra-oy
- Jätevesi-selvitys tehty
- Ei
- Lisätietoa kunnallistekniikasta
- Himos-Infra Oy on Himoksen alueella toimiva kunnallistekniikkayhtiö, joka hoitaa alueen vesihuoltolaitoksen tehtävät sekä valvoo tehtyjen yhteistoimintasopimusten noudattamista. Uusien maankäyttösopimusten periaatteiden mukaisesti yhtiö toimii vesihuollon rakennuttajana. Vesi- ja viemäriliittymähinnat: www.jamsa.fi/asuminen/vesihuolto-himos-infra-oy
Palvelut ja liikenneyhteydet
Palvelut: Jämsän keskustan palvelut n. 7 km:n päässä.
Lisätiedot
Kaupan kohteena olevan tontin omistaja on velvollinen osallistumaan yhteisessä käytössä olevien ulkoilureitistöjen vuotuisiin ylläpitokustannuksiin Himosvuoren Latuosuuskunnan tai sen seuraajaksi perustetun yhteisön määräämällä reitistömaksulla. Kaupan kohteena olevan tontin omistaja on lisäksi velvollinen osallistumaan yhteisessä käytössä olevan viher- ja virkistysalueiden vuotuisiin ylläpitokustannuksiin Himos Resort Oy:n määräämällä hoitomaksulla. Jos ostaja myy kaupan kohteena olevan tontin uudelle omistajalle, ostaja on velvollinen siirtämään tämän ehdon mukaiset velvoitteet uudelle omistajalle.
Joustavalla lainalla
unelmiesi kotiin
Tutustu OP:n rakennuslainaanPohja

Kuvat






Sijainti
Kohdetta välittää
Jämsä OP Koti Sisä-Suomi Oy LKV Keskuskatu 11, JÄMSÄ
010 256 2005 Katso puheluhinnat
opkoti.jamsa@op.fi
Huomaathan, että OP Kodin kohdeilmoituksessa ei ole kaikkia tietoja kohteesta.
Varmista tiedot kohteen virallisesta myyntiesitteestä.