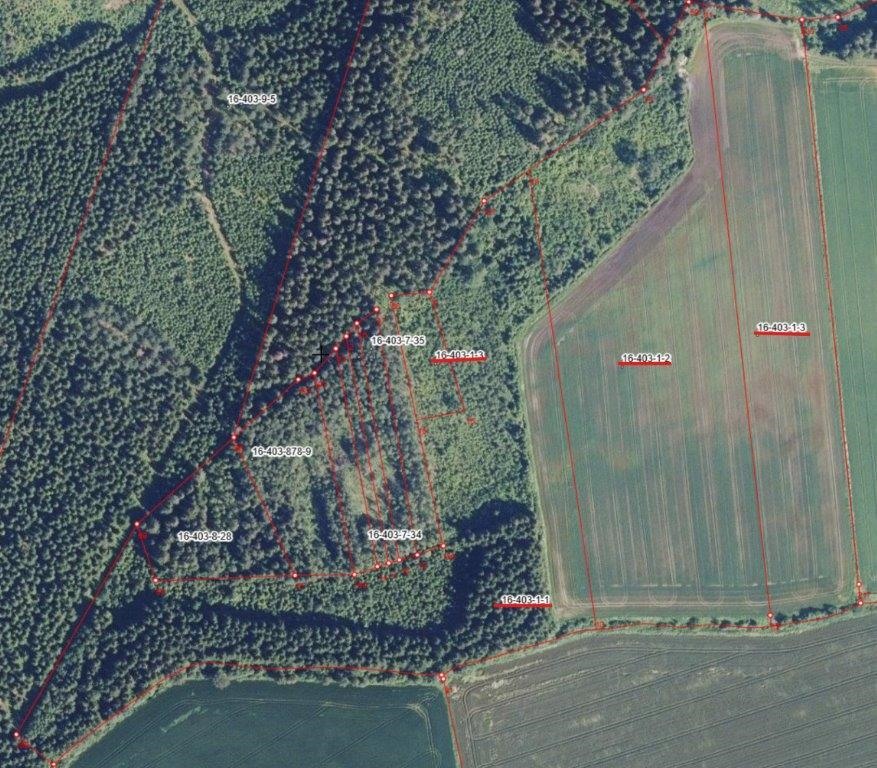
Hillilä 16-403-1-1, 16-403-1-2 & 16-403-1-3, Hillilä, Asikkala
Myynnissä kolmen kiinteistön kokonaisuus Asikkalasta, Kurhilasta. Yhteenlaskettu kokonaispinta-ala on noin 82 hehtaaria, josta 52,7 ha on metsämaata ja peltoalaa 27,15 ha. Pellot ovat tukikelpoisia. Salaojista löytyy suunnitelmat, mutta täyttä varmuutta ei ole niiden toteutuksesta.
Metsää on rehevällä maalla. Kasvupaikkatyyppeinä lehtomainen kangas 34 ha ja lehto 14 ha. Lisäksi hieman tuorekangasta. Puulajeina pääosin kuusta, mutta myös rauduskoivua.
Puustoa on metsäarvioden perusteella 5228 m3, josta uudistuskypsää puustoa on 2061 m3 ja kasvatusmetsien puustoa 3167 m3. Taimikkoa on yhteensä 26,7 ha. Kiinteistöistä on tehty metsäarvio 7.10.2025.
Kiinteistö 16-403-1-2 myydään määräalana. Tilasta pidätetään noin 1ha, johon sisältyy rakennukset. Lohkomiskuluista vastaa ostaja. Ostajan tulee jättää kirjallinen ostotarjous välittäjälle viimeistään 15.11.2025. Lähtöhinta 540 000e, mutta myös määräala tarjoukset huomioidaan. Tarjouksiin pidätetään oikeus hylätä tai hyväksyä tarjoukset. Ostaja vastaa mahdollisista kaupantekoon liittyvistä lainhuuto-, varainsiirtovero- ja kaupanvahvistusmaksuista.
Kysy rohkeasti lisätietoja välittäjältä! Vesa Teräväinen vesa.teravainen@op.fi tai 040 769 8133
Kohdetta välittää:
Ota yhteyttä välittäjään
Lähettämällä viestin hyväksyt palvelun ehdot.
Kohteen tiedot
Rakennuksen tiedot
- Energialuokka
- Ei energiatodistusta
- Lisätietoa energiatodistuksesta
- Kohteelle ei lain mukaan tarvitse hankkia energiatodistusta
Tila
- Pinta-ala
- 81,6 ha
- Kuvaus
- Kolmella tilalla on puustoa metsäarvioden perusteella 5228 m3. Kaksi tilaa myydään kokonaisena ja yksi lohkotaan.
- Tilan jakaminen
- Voidaan lohkoa.
- Omistus
- Oma
- Tie perille
- Kyllä
- Kaavoitus
- Kaavoittamaton. Asikkalan kunta
Metsät ja pellot
- Metsien pinta-ala
- 52.7 ha
- Metsien kuvaus
- Rehevällä maalla olevaa metsää. Kolmella tilalla on puustoa metsäarvioden perusteella 5228 m3, josta uudistuskypsää puustoa on 2061 m3 ja kasvatusmetsien puustoa 3167 m3.
- Metsäarvio
- Kyllä
- Metsänhoitosuunnitelma
- Ei
- Puusto
- Kuusi tukkipuuta 2089 m³ + kuitupuuta 2497 m³Koivu tukkipuuta 112 m³ + kuitupuuta 510 m³.
- Välittömät hakkuumahdollisuudet
- 2061 m3
- Pellon pinta-ala
- 27.15 ha
- Peltokuvaus
- Neljä peltolohkoa 3,39 ha, 11,54 ha, 6,86 ha & 5,36 ha. Pellot ovat korvauskelpoisia. Salaojista löytyy suunnitelmat, mutta täyttä varmuutta ei ole niiden toteutuksesta.
Lisätiedot
Tieoikeus pitää erikseen sopia maanomistajan kanssa kiinteistöjen 16-403-1-1, 16-403-1-2 & 16-403-1-3 eteläisimmille peltolohkoille. Lohkot kuvissa 15 ja 16.
Kuvat



















Kohdetta välittää
Vääksy OP Koti Järvi-Häme Oy LKV
Koulumestarintie 8, VÄÄKSY
Huomaathan, että OP Kodin kohdeilmoituksessa ei ole kaikkia tietoja kohteesta.
Varmista tiedot kohteen virallisesta myyntiesitteestä.